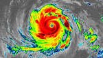
Category 5 Super Typhoon Jebi is the planet's strongest storm of 2018 so far - NewsGossipBull.BlogSpot.com - Latest News, Gossip & Bullshit
Quotes by TradingView

Twitter

Popular